Der Wetter-Tag bei wetter.de
Haselnuss-Ernte in Italien bricht ein – Nutella dürfte teurer werden

Guten Tag liebe Wetter-Freundinnen und -Freunde! Das sind unsere Wetter und Klima-News des Tages:
In Italien ist die Haselnuss-Ernte so schlecht wie seit Jahrzehnten nicht mehr. Landwirtschaftsverbände berichten von nur rund 70.000 Tonnen – etwa halb so viel wie in früheren Jahren. Schuld sind Klimawandel, Schädlinge und extreme Wetterlagen. Die Ernte fällt nicht nur geringer aus, sondern auch die Qualität leidet. Besonders betroffen sind das Piemont, Kampanien und Sizilien.
Die Folgen könnten bald auch Verbraucher in Deutschland spüren: Haselnüsse sind eine Hauptzutat in Nuss-Nougat-Aufstrichen wie Nutella. Nach Einschätzung von Marktbeobachtern werden steigende Rohstoffpreise auf die Produkte durchschlagen. Schon jetzt kostet ein 450-Gramm-Glas Nutella rund 3,79 Euro – 27 Prozent mehr als 2022.
Ferrero selbst äußert sich nicht zur Preisentwicklung, bezieht aber längst Nüsse auch aus der Türkei – wo die Ernte in diesem Jahr ebenfalls schwächer ausfiel. Expertinnen halten auch neue Lieferländer wie China für möglich.
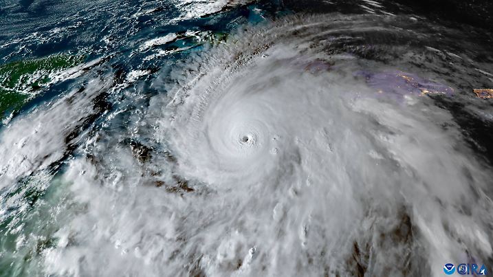
Hurrikan Melissa verwüstet Jamaika – Inselstaat zum Katastrophengebiet erklärt

Nach dem Durchzug des extrem gefährlichen Hurrikans Melissa hat Jamaikas Regierung den gesamten Inselstaat zum Katastrophengebiet erklärt. Der Sturm der höchsten Kategorie 5 traf das Land mit Windgeschwindigkeiten von bis zu 295 Stundenkilometern und gilt als der schwerste, der Jamaika je getroffen hat. Weite Teile des Landes sind ohne Strom, Kommunikationsnetze sind zusammengebrochen.
Besonders betroffen ist der Bezirk Saint Elizabeth, wo ganze Gebiete unter Wasser stehen. Mehrere Krankenhäuser wurden beschädigt. Die Behörden riefen die Bevölkerung auf, in Notunterkünften zu bleiben. Hurrikan Melissa schwächte sich später auf Kategorie 3 ab und zog in Richtung Kuba und Bahamas weiter. Nach Behördenangaben kamen in Jamaika bislang drei Menschen ums Leben, in Haiti und der Dominikanischen Republik vier weitere.
Behörden warnen in Jamaika vor Krokodilen
Nach dem Durchzug von Hurrikan Melissa warnen die Behörden in Jamaika die Bevölkerung vor einer ungewöhnlichen Gefahr: umherstreifenden Krokodilen. Durch die Überschwemmungen und steigende Pegelstände in Flüssen und Sümpfen könnten die Tiere in bewohnte Gebiete gelangen, teilte die Gesundheitsbehörde Serha mit. Anwohner sollten überflutete Bereiche meiden und besonders Kinder und Haustiere fernhalten.
Hurrikan Melissa zieht nach Kuba – extreme Regenmengen und Überflutungen erwartet

Nach der Verwüstung Jamaikas hat Hurrikan Melissa am Mittwochmorgen auch Kuba erreicht. Der Sturm traf den Osten der Insel mit Windgeschwindigkeiten von bis zu 215 Kilometern pro Stunde und der zweithöchsten Kategorie 4. Meteorologen warnen vor sintflutartigen Regenfällen von 250 bis 500, örtlich sogar bis zu 650 Litern pro Quadratmeter. An der Küste werden bis zu vier Meter hohe Wellen erwartet, die Überschwemmungen verursachen können.
Für mehrere Regionen Kubas besteht akute Gefahr durch Sturzfluten, Murenabgänge und orkanartige Böen. Behörden warnen vor katastrophalen Auswirkungen. In der Nacht auf Donnerstag soll Melissa weiterziehen und leicht abgeschwächt mit Kategorie 2 auch die Bahamas treffen.
Sonne tanken im Süden – im Norden ziehen schon wieder Wolken auf
Im Süden scheint nach Auflösung von Nebel- oder Hochnebelfeldern meist die Sonne. Auch im Osten wird es zeitweise sonnig, nur im Westen und Norden ziehen wieder zunehmend dichtere Wolken auf und stellenweise kann es auch mal etwas regnen. Bei deutlich nachlassendem Wind gibt es 10 bis 15, am Oberrhein bis zu 17 Grad.
Wetterlage: Lothar 1, 2 und 3 um uns herum

Tief Lothar hat sich in mehrere Kerne aufgespalten, die von den Britischen Inseln bis zur Ostsee reichen. Dadurch lässt der Zustrom an feuchter Luft nach Deutschland vorübergehend etwas nach, im Südosten kann sich sogar schwacher Hochdruckeinfluss durchsetzen. Die nächsten Tage stellt sich eine Südwestströmung ein, in der die Südosthälfte deutlich freundlicheres Wetter als die eher wechselhafte Nordwesthälfte erwarten darf. Der Oktober zeigte sich nicht gerade von seiner goldenen Seite, daran ändern auch die letzten Oktobertage nicht mehr so viel. Im Landeschnitt war es bislang deutlich zu nass (125 Prozent) und es gab weniger Sonnenschein als normal (61 Prozent). Besonders große Abweichungen gab es im Westen: NRW bringt im Schnitt bisher nicht mal die Hälfte des normalen Sonnenscheins zustande, Köln sogar nur 35 Prozent. Am sonnigsten war es an der Ostsee, am Bodensee (Friedrichshafen 125 Prozent) und auf den Bergen im Süden. Die Temperaturen waren im Schnitt nur wenig wärmer als normal (+0,7 Grad), auf den Bergen war es sogar etwas kälter als normal.
Videos auf wetter.de
Auf der Videoübersichtsseite von wetter.de findet ihr Prognosen und andere Videos zu den Themen Wetter und Klima.
Aktuelle News, Unwetter und Nachrichten rund um Wetter und Klima
Verwendete Quellen: eigene wetter.de-Recherche mit dpa, Reuters